SoM Logo Document (Small) 

 

 

 

ATTACHMENTS

 

 

 

 

Council Meeting

 

 

 

 

18 August 2022

 

 

 

 

 

 

 

 

 

 


CONTENTS

 

9.3.1 - Council Financial Payments for July 2022

9.3.1(1)............................................................................................................................. 3

9.3.2 - Monthly Financial Activity Statement - June 2022

9.3.2(1)........................................................................................................................... 26

9.5.1 - Proposed Ancillary Accommodation at Lot 1652 (126) Sonny Road, Perup

9.5.1(1)........................................................................................................................... 41

9.5.1(2)........................................................................................................................... 46

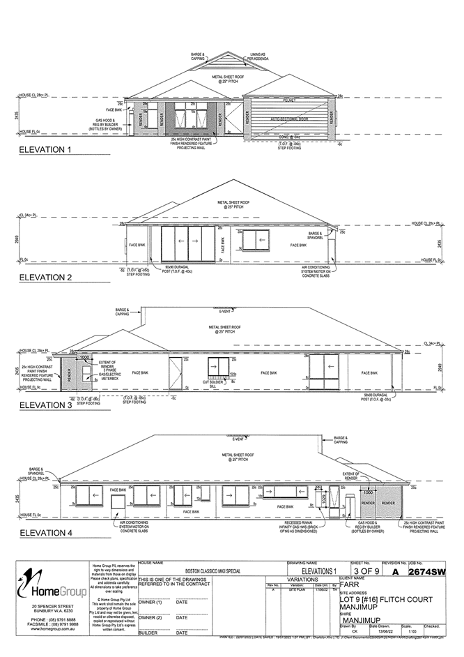
9.5.2 - Proposed Overheight Outbuilding on a Vacant Lot at Lot 9 (16) Flitch Court, Manjimup

9.5.2(1)........................................................................................................................... 47

9.5.2(2)........................................................................................................................... 49

9.5.2(3)........................................................................................................................... 51

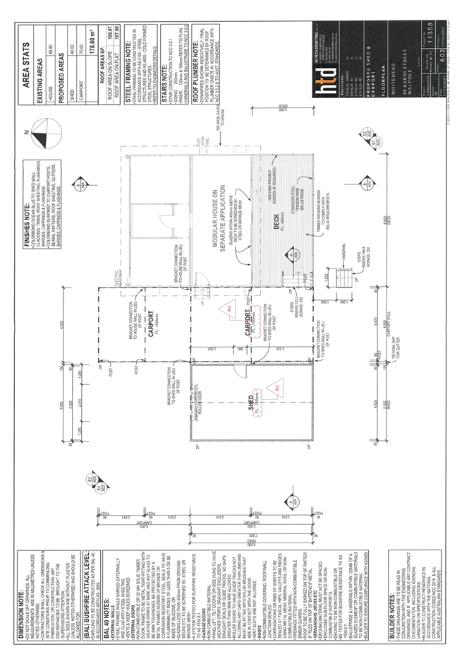
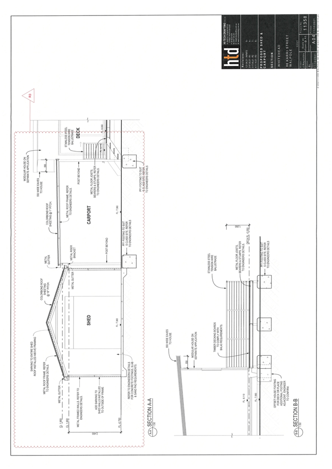
9.5.3 - Retrospective Approval for a Deck at Lot 212 (88) Karri Street, Walpole

9.5.3(1)........................................................................................................................... 53

9.5.4 - Delegated Planning Decisions for July 2022

9.5.4(1)........................................................................................................................... 57

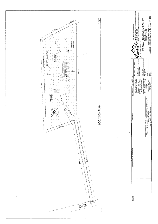
9.5.5 - Proposed Water Tank, Garage and Revised Building Envelope at Lot 140(37) Karri Lane, Quinninup

9.5.5(1)........................................................................................................................... 58

9.5.5(2)........................................................................................................................... 62

9.5.6 - Request for Reconsideration of Rear Setback - Proposed Outbuilding at No 19 (Lot 319) Kelly Street, Pemberton

9.5.6(1)........................................................................................................................... 72

9.5.6(2)........................................................................................................................... 73

9.5.7 - Request for Scheme Amendment - Lot 200 Club Road, Pemberton

9.5.7(1)........................................................................................................................... 75

9.5.7(2)........................................................................................................................... 78

9.5.8 - Request to Occupy Caravan for Up to Three Months - No 7 (Lot 14) Highfield Street, Manjimup

9.5.8(1)........................................................................................................................... 84

9.7.1 - Application to Keep More Than Two Cats at 140 (Lot 100) Chopping Street, Manjimup

9.7.1(1)........................................................................................................................... 85

9.7.1(2)........................................................................................................................... 89

9.7.2 - Application to Keep More Than Two Dogs at 140 (Lot 100) Chopping Street, Manjimup

9.7.2(1)........................................................................................................................... 92

9.7.2(2)........................................................................................................................... 96

9.16.1 - Unconfirmed Minutes of the Pemberton Town Activation Advisory Committee Meeting Held 2 August 2022

9.16.1(1)...................................................................................................................... 101

                                                                                     


 

APPENDICES

 

9.7.2 - Application to Keep More Than Two Dogs at 140 (Lot 100) Chopping Street, Manjimup

9.7.2(a)........................................................................................................................ 105

9.7.2(b)........................................................................................................................ 114

 


 

3

9.3.1(1)

 
























 

40

9.3.2(1)

 















 


 

45

9.5.1(1)

 






 

46

9.5.1(2)

 



 

48

9.5.2(1)

 



 

50

9.5.2(2)

 



 

52

9.5.2(3)

 



 

56

9.5.3(1)

 





 

57

9.5.4(1)

 



 

61

9.5.5(1)

 





 

71

9.5.5(2)

 











 

72

9.5.6(1)

 



 

74

9.5.6(2)

 



 

77

9.5.7(1)

 




 

83

9.5.7(2)

 







 

84

9.5.8(1)

 


 


 

88

9.7.1(1)

 





 

91

9.7.1(2)

 




 

95

9.7.2(1)

 





 

100

9.7.2(2)

 





 


 

104

9.16.1(1)

 




 


 


 

113

9.7.2(a)

 










 

119

9.7.2(b)